Dossier d’œuvre architecture IA35000492 | Réalisé par
  • patrimoine industriel, Inventaire du patrimoine industriel d'Ille-et-Vilaine
  • inventaire préliminaire, Saint-Armel
Distillerie Cornic, la Gare (Saint-Armel)
Œuvre étudiée

Dossier non géolocalisé

Localisation
  • Aire d'étude et canton Ille-et-Vilaine - Châteaugiron
  • Commune Saint-Armel
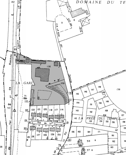
  • Lieu-dit près de la Gare
  • Cadastre 1997 ZB 45, 108 à 111
  • Dénominations
    distillerie
  • Appellations
    distillerie Cornic
  • Parties constituantes non étudiées
    atelier de fabrication, entrepôt industriel, bureau, cuvage, voie ferrée

Distillerie de cidre créée en 1922 par les frères Cornic. La maison mère de la société Cornic frères est une importante maison de vins et spiritueux en gros située à La Roche-Derrien (22). En 1953, le groupe Cornic dirige, en plus de celle-ci, seize autres usines dont trois sont localisées en Ille-et-Vilaine : à Guichen, à Messac et à Châteaubourg. Les autres distilleries sont réparties notamment dans la Manche (50), dans l'Orne (61), en Seine-Maritime (76), ou encore dans la Sarthe (72). Cornic est alors le premier groupe français pour la production d'alcool de pomme. De source orale, la distillerie aurait cessé de fonctionner dans les années 1960.

  • Période(s)
    • Principale : 1er quart 20e siècle
  • Dates
    • 1922, daté par source, daté par tradition orale

Site désaffecté, anciennement desservi par le chemin de fer. L'ancienne tour de distillation se trouve dans un état de conservation très médiocre. Quelques corps de bâtiment subsistent en partie, dont un en rez-de-chaussée, enduit et couvert de tuiles mécaniques, surmonté d'un lanterneau.

  • Murs
    • béton
    • enduit
    • parpaing de béton
  • Toits
    tuile mécanique, métal en couverture, tôle ondulée
  • Étages
    en rez-de-chaussée, 1 vaisseau
  • Couvertures
    • toit à longs pans
    • lanterneau
  • Énergies
    • énergie électrique
    • achetée
  • État de conservation
    établissement industriel désaffecté
  • Statut de la propriété
    propriété privée

Documents d'archives

  • AD Ille-et-Vilaine 2 per 139. Annuaire rationnel d'Ille-et-Vilaine (1924).

  • AD Ille-et-Vilaine 2per 2966. Annuaire officiel d'Ille-et-Vilaine : administratif, industriel et commercial, Rennes (1939).

    Archives départementales d'Ille-et-Vilaine : 2per 2966
  • AD Ille-et-Vilaine 5M 191. Etablissements insalubres : contentieux. Plaintes contre la distillerie de Saint-Armel (1933).

  • AD Ille-et-Vilaine 5M 245. Etablissements insalubres. Distilleries : lutte contre la pollution ; instructions et correspondances (1906-1940).

    Archives départementales d'Ille-et-Vilaine : 5M 245
  • AD Ille-et-Vilaine 5M 247. Etablissements insalubres. Ateliers de distillerie de cidre, poiré, liqueurs 2ème classe (1922-1939).

Documents figurés

  • Distillerie de Saint-Armel, plan d'ensemble, AD Ille-et-Vilaine 5M 247. Etablissements insalubres : distilleries (12 septembre 1922).

  • Distillerie de Saint-Armel, plan, AD Ille-et-Vilaine 5M 247. Etablissements insalubres : distilleries (12 septembre 1922).

Date(s) d'enquête : 1998; Date(s) de rédaction : 1998
Articulation des dossiers