Photographe à l'Inventaire
- patrimoine industriel, Inventaire du patrimoine industriel d'Ille-et-Vilaine
Dossier non géolocalisé
-
Aire d'étude et canton
Ille-et-Vilaine - Saint-Méen-le-Grand
-
Hydrographies
ruisseau de la Tannerie
-
Commune
Saint-Méen-le-Grand
-
Adresse
rue de Gaël
-
Cadastre
1980
AE
39
-
Dénominationstannerie
-
Appellationstannerie Hoiry frères
-
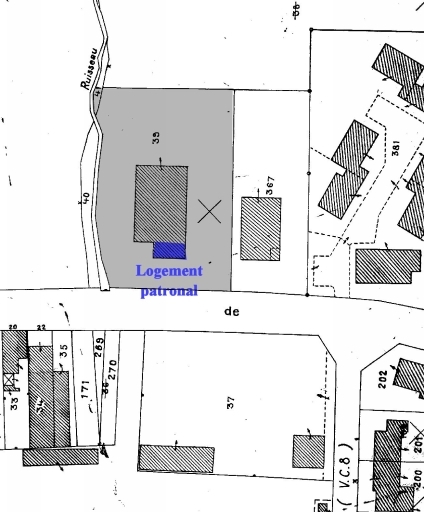
Parties constituantes non étudiéesatelier de fabrication, logement patronal
La tannerie Hoiry est construite en 1917. Elle cesse son activité dans les années 1940-1950. Les bâtiments sont ensuite utilisés comme entrepôt pour le stockage d'une épicerie. Aujourd'hui, l'établissement est fermé.
-
Période(s)
- Principale : 1er quart 20e siècle
-
Dates
- 1917, daté par source, daté par tradition orale, daté par travaux historiques
L'atelier de fabrication est construit en granite et couvert d'un toit à longs pans en ardoises. Des claies règnent au niveau supérieur de l'atelier. Un petit corps de bâtiment, en rez-de-chaussée au toit à longs pans flanqué, de part et d'autre, d'un bâtiment en appentis, est accolé au corps principal. Le logis patronal, à un étage carré et couvert d'un toit à croupes en ardoises, est adossé à l'extrémité de la tannerie.
-
Murs
- granite
- moellon
-
Toitsardoise
-
Étages1 étage carré
-
Couvertures
- toit à longs pans
- appentis
- croupe
-
Énergies
- énergie électrique
- achetée
-
État de conservationétablissement industriel désaffecté
-
Statut de la propriétépropriété privée
- (c) Inventaire général, ADAGP
- (c) Inventaire général, ADAGP
- (c) Inventaire général, ADAGP
Documents d'archives
-
AD Ille-et-Vilaine 5M 189. Tableau annuel des établissements insalubres ou incommodes, autorisations ou refus (1822-1887).
-
AD Ille-et-Vilaine 5M 290. Etablissements insalubres. Tanneries et mégisseries : Saint-Méen-le-Grand (1827-1861).
Bibliographie
-
JOVIN, S. Tanneries et mégisseries d'Ille-et-Vilaine aux XIXème et XXème siècles. Mémoire de maîtrise : Université de Rennes 2, 2 vol., 1996. 203 p.
Photographe à l'Inventaire