Une inscription sur le linteau de la porte désigne le commandaire de l'oeuvre : maître ou messire Cuc ou Evé [les formes dans les boucles du C peuvent être interprétées comme la barre du milieu d'un E]. Cette petite demeure de plan massé est comparable à de très petites malouinières du type 'vide-bouteilles'.
Dossier d’œuvre architecture IA35004329
| Réalisé par
Quillivic Claude
Quillivic Claude
Cliquez pour effectuer une recherche sur cette personne.
- inventaire préliminaire, Saint-Coulomb
Demeure, le Pont Gilles (Saint-Coulomb)
Œuvre recensée
Auteur
-
Quillivic ClaudeQuillivic ClaudeCliquez pour effectuer une recherche sur cette personne.
Dossier non géolocalisé
Localisation
-
Aire d'étude et canton
Ille-et-Vilaine - Cancale
-
Commune
Saint-Coulomb
-
Lieu-dit
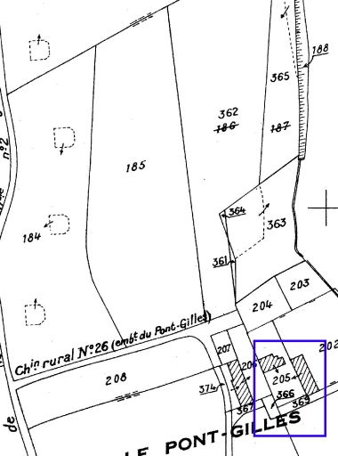
le Pont Gilles
-
Cadastre
1982
P
205
-
Dénominationsdemeure
-
Parties constituantes non étudiéesvivier, puits, resserre, clôture de jardin, ferme
-
Période(s)
- Principale : 4e quart 17e siècle
-
Dates
- 1677, porte la date
-
Murs
- granite
- moellon
-
Toitsardoise
Données complémentaires architecture IP35
- DENO
- HYPOI maison de type ternaire
- HYPOE en alignement
- PHYPO variante : à deux travées ; malouinière type vide-bouteille
- STYL normalisation
- NOTA
- MURS1 granite ; moellon
- MURS2
- SCLE1 4e quart 17e siècle
- IMPA
- CBATI
- IMBATI
- PERP
- ESPAL
- PASSAGE
- ESPAP
- DISTRIB nsp
- ORDO -1
- ELEV 3
- ETAG 1
- COMBLE comble à surcroît
- MOUV autre cas
- RDC
- ACCESA 1
- ACCESP ?
- NATUA porte bâtarde décentrée
- FACCES
- FAXE
- FETAG
- FOUV
- IAUT sans objet
- ICHR typicum
- IESP typicum région ou pays
- ICONTX intégré
- PINTE
- SEL sélection possible
- TYPVIL
- TYPECA
- POSECA
-
Statut de la propriétépropriété privée
- (c) Inventaire général, ADAGP
- (c) Inventaire général, ADAGP
- (c) Inventaire général, ADAGP
- (c) Inventaire général, ADAGP
- (c) Inventaire général, ADAGP
- (c) Inventaire général, ADAGP
Documents figurés
-
Feuille cadastrale de la section D2 dite de la Tiolais. Levée par Demolon, géomètre, [1828], échelle 1/2500e. (A.D. Ille-et-Vilaine : 3 P 5487).
Date(s) d'enquête :
1999;
Date(s) de rédaction :
1999
Quillivic Claude
Quillivic Claude
Cliquez pour effectuer une recherche sur cette personne.
Dossiers de synthèse
Articulation des dossiers