Cet ancien logis à fonctions combinées (Hommes et animaux vivent sous le même toit) est caractéristique de l'habitat rural des 18e et 19e siècles. Bien conservé, on peut voir que le niveau de la pièce d'habitation (au nord) est plus élevé que celui de l'étable (au sud). Cette différence se voit également au niveau de l'espace de stockage sous le comble. Il faut probablement y voir un fenil au-dessus de l'étable et un grenier au-dessus de la salle. Noter la technique mixte : moellons de grès au premier niveau, terre enduite au second.
Dossier d’œuvre architecture IA35011899
| Réalisé par
Lauranceau Elise
;
Lauranceau Elise
Cliquez pour effectuer une recherche sur cette personne.
- inventaire préliminaire, Liffré
Ferme, la Busardière (Liffré)
Œuvre recensée
Auteur
Dossier non géolocalisé
Localisation
-
Aire d'étude et canton
Ille-et-Vilaine - Liffré
-
Commune
Liffré
-
Lieu-dit
la Busardière
-
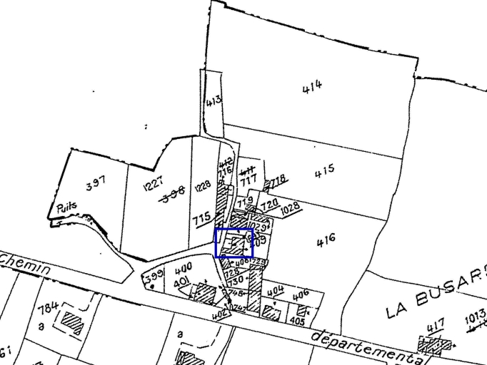
Cadastre
1980
B2
409
-
Dénominationsferme
-
Parties constituantes non étudiéesétable, porcherie
-
Période(s)
- Principale : 2e moitié 18e siècle
-
Murs
- grès
- terre
- moellon sans chaîne en pierre de taille
-
Toitsardoise
-
État de conservationrestauré
Données complémentaires architecture IP35
- DENO
- HYPOI B1
- HYPOE éclaté
- PHYPO VARIANTE : grenier sur salle/étable à partition
- STYL vernaculaire
- NOTA
- MURS1 grès ; moellon sans chaîne en pierre de taille ; terre
- MURS2
- SCLE1 2e moitié 18e siècle
- IMPA
- CBATI
- IMBATI
- PERP
- ESPAL
- PASSAGE
- ESPAP
- DISTRIB
- ORDO
- ELEV
- ETAG
- COMBLE
- MOUV
- RDC
- ACCESA
- ACCESP
- NATUA
- FACCES à portes multiples
- FAXE nsp
- FETAG R+C à haut surcroît
- FOUV à porte haute
- IAUT sans objet
- ICHR typicum
- IESP typicum
- ICONTX intégré
- PINTE
- SEL sélection possible
- TYPVIL
- TYPECA
- POSECA
-
Statut de la propriétépropriété privée
- (c) Inventaire général, ADAGP
- (c) Inventaire général, ADAGP
Documents figurés
-
Commune de Liffré. Plan cadastral. Section B, 2ème feuille. Plan, 1980, échelle : 1/2000e. (Mairie de Liffré).
Date(s) d'enquête :
2001;
Date(s) de rédaction :
2001
Lauranceau Elise
Lauranceau Elise
Cliquez pour effectuer une recherche sur cette personne.
Dossiers de synthèse
Articulation des dossiers