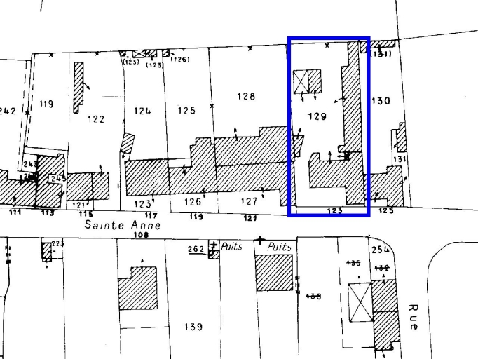
Maison, 123 rue du Han (Cherrueix),
Plan de situation sur le cadastre de 1982Immatriculation
IVR53_19983501287NUC
Auteur de l'illustration
-
Quillivic ClaudeQuillivic ClaudeCliquez pour effectuer une recherche sur cette personne.
Copyright
Diffusion
reproduction soumise à autorisation du titulaire des droits d'exploitation
Type
phototype numérique
Besoin d'informations sur cette illustration ?
Nous contacter
Informations techniques
-
Technique de relevé
- relevé manuel